Risby Brick works 1884
Risby Brick Works 1884

Off the Bury Road

Risby Brickworks

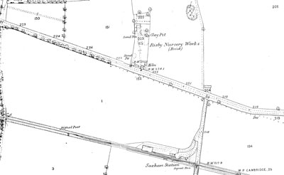
The Suffolk Heritage Explorer lists Risby Brickworks as monument record RBY 040, Risby Nursery Works (Brick) with kiln, clay pit and sand pits shown on 1885 OS map.

No longer shown on 1904 map, (Ivy Cottages)

Was situated close to Saxham railway station.

Probably the same as brickworks listed as operated by Edward Drake between1879 and 1885.

Listed in SIAS Newsletter 23, Brick Kilns in Suffolk by C J Pankhurst, September, 1988.


Risby Nursery Brickworks in 1880s

Risby Brickworks site RBY 040 today

The area today

As can be seen from the Suffolk Heritage Explorer map there is no trace of the brickworks remaining today.


Summary of the owners or managers

  • 1879 to 1885...Edward Drake


This article was compiled by David Addy based upon material from "The British Brick Society" .

British Brick Society newsletter "Information No 26, April 2014,
Suffolk Heritage Explorer Reference ELV 174 and ELV 008
Suffolk Review, Vol 5, 1980 - 1988 on ‘Suffolk Brickmaking’ by Robert Malster. (Suffolk Local History Council, Summer 1983, Vol 5, No 4).
Suffolk Industrial Archaeology Society newsletter No 21 September, 1988, "Brick Kilns in Suffolk" by C J Pankhurst
Website - David Kitching's website - Brick Section
Website - Martyn Fretwell's blog on bricks etc
Photos of bricks by Martyn Fretwell unless stated.

Page created on 25th September, 2023


Return to Brickmaking Homepage Go to Trades and Industries Homepage Last updated 25th September 2023 Go to Main Home Page